iunie 28, 2021
A N U N T
privind elaborare PUZ – Construire supermarket LIDL, amenajare accese, incinta, ampalsare unipol si imprejmuire
Primaria municipiului Oradea anunta elaborarea unui plan urbanistic zonal de urbanizare PUZ – Construire supermarket LIDL, amenajare accese, incinta, ampalsare unipol si imprejmuire.
Zona de studiu a PUZ-ului: subzona din UTR UGc reprezentata de nr.cad.210259, situate la frontul str.Ceyrat, in suprafata de 8320 mp.
Planul urbanistic este elaborat de catre arh. Abrudan Ioan, la initiativa beneficiarului SC Lidl Romania SCS.
– Prevederi P.U.G. – R.L.U. aprobate anterior:
UTR UG_c – Zonă de urbanizare gospodărire comunală – Cimitire
– regim de construire: deschis;
– funcţiuni predominante: lucrări funerare , spaţii pentru ceremonii funerare – capele, platforme în aer liber, crematoria, spaţii tehnice aferente funcţiunii de bază, clădiri administrative şi de serviciu, anexe sanitare;
– H max: 8,0m; – (S/D)+P+1
– POT max = 2,0%; – CUT max = 0,04;
– retragerea minimă faţă de aliniament: in conformitate cu PUZ;
– retrageri minime faţă de limitele laterale: 6,0m ;
– retrageri minime faţă de limitele posterioare: 6,0m
– Prevederi P.U.Z. – R.L.U. propuse:
– UTR de tip Et;
– regim de construire: deschis;
– funcţiuni predominante: activitati economice tertiare;
– H max: 21 m (la cornisa) ; Hmax.total : 25 m,
– POT max = 40,0%, – CUT max = 2,2 ;
– retragerea minimă faţă de aliniament: 3,0m;;
– retrageri minime faţă de limitele laterale/posterioare: h/2 dar nu mai putin de 3,0m;
– circulaţii şi accese: accesul in zona se realizeaza pe str.Ceyrat
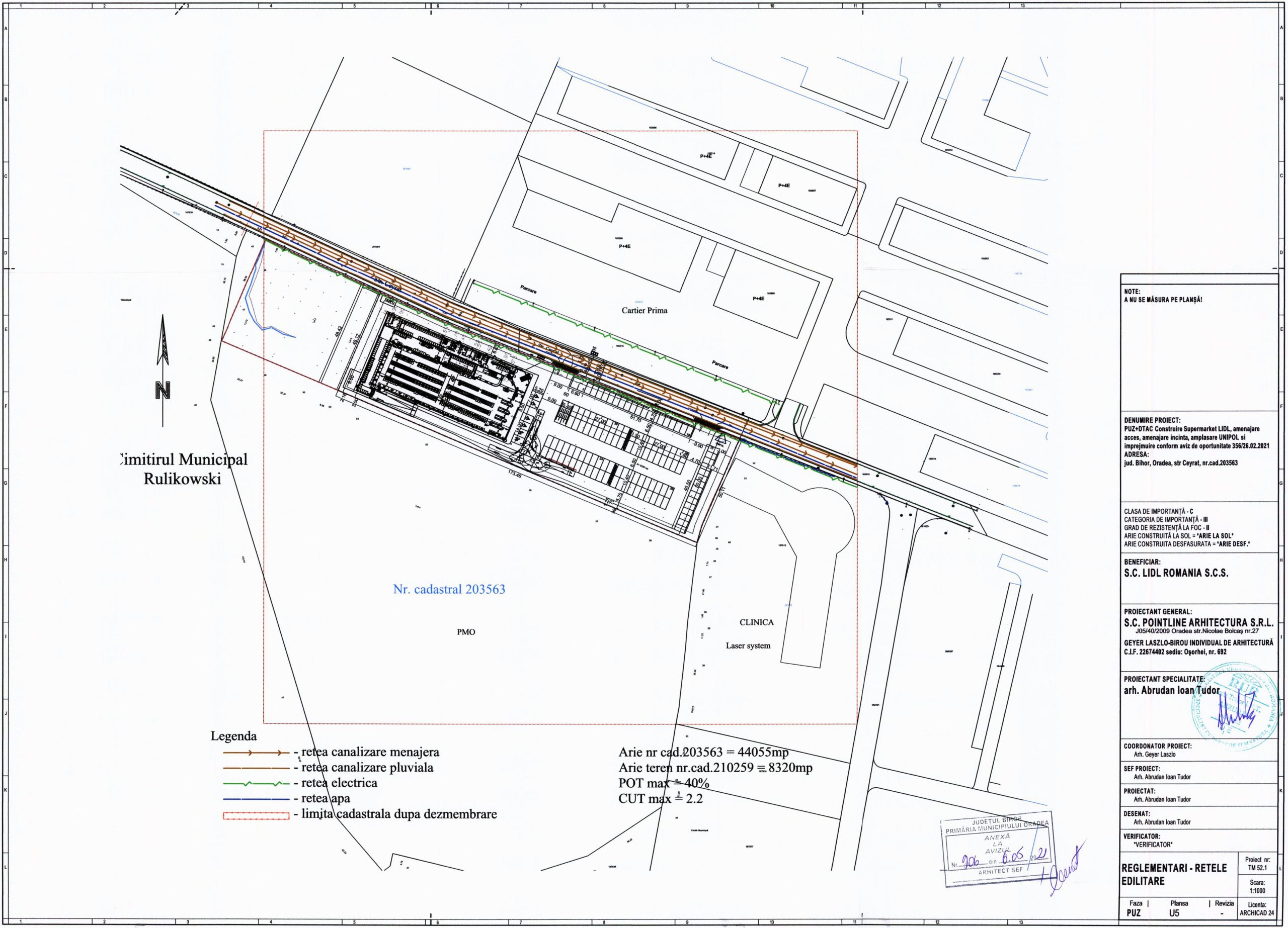
– echipare tehnico-edilitară: prin racord la retelele existente in zona;
– Prin documentatia de urbanism se propune reconversia functionala a terenului care a generat PUZ-ul din UTR UGc in UTR Et si construirea unui magazim Lidl cu dotari aferente (post trafo, parcari, unipol…)
– Regim de inaltime: P;
– Amplasarea cladirii principale, a constructiilor anexe si amenajarea incintei se vor realiza conform propunerii prezentate in plansa U4;
– In incinta se vor amenaja locuri de parcare aferente functiunilor conform prevederilor din anexa 2 la RLU aferent PUG; Se propun 126 locuri parcare, necesarul, conform PUG, fiind de 87 locuri
– spatii verzi amenajate: 17,2% din suprafata terenului
– Accesul se va realiza din str.Ceyrat in 2 puncte;
In temeiul art. 28 al Regulamentului local de implicare a publicului in elaborarea sau revizuirea documentatiilor de urbanism si amenajarea teritoriului, aprobat prin HCL 495/2019, in perioada 28.06.2021-22.07.2021 publicul poate sa consulte si sa-si exprime opinia, in scris privind documentele complete ale propunerilor PUZ-ului.
Plansa cu reglementarile propuse prin PUZ poate fi consultata pe pagina de internet www.oradea.ro la sectiunea Planuri urbanistice sau la sediul Primariei Oradea- in Centrul de Relatii cu Publicul, marti si vineri, intervalul orar 13-15.
Sesizarile/sugestiile se pot trimite la adresa de e-mail: alina.cadar@oradea.ro , prin posta la adresa: Primaria municipiului Oradea, Piata Unirii, nr.1,Institutia Arhitectului Sef, Compartiment Urbanism si Avize sau in Centrul de Relatii cu Publiculla sediul Primariei Oradea.
Persoana responsabila cu informarea si consultarea publicului este d-na Alina Cadar, consilier in cadrul Institutiei Arhitect Sef – Compartimentul Urbanism si Avize, telefon 0259/408876, e-mail: alina.cadar@oradea.ro.
Raspunsul la observatiile transmise va fi publicat in intervalul 23.07.2021-06.08.2021 pe paginile de internet: www.oradea.ro.
U3-Reglementari-Zonare functionala.jpg
descarcă
RLU aferent PUZ.pdf
descarcă
6U-Circulatia terenurilor.jpg
descarcă
5U-Retele edilitare.jpg
descarcă
4U-Reglementari.jpg
descarcă
iunie 28, 2021
A N U N Tprivind elaborare PUZ URBANIZARE-Dezvoltarea unei zone de activitati economice tertiare (extindere si peste ULiu); Amplasare hala de depozitare si mica productie,...
iunie 28, 2021
A N U N Tprivind PUD- Constructie imobil de locuinte colective, apartamente in regim hotelier si spatiu comercial la parter, Str. Tudor Vladimirescu, nr.31,Oradea Primaria...